Are you a member? /

Chioggia – Former Magazzini del Sale

Property divided into 7 units within the Saloni island, the building can be accessed by water even by medium-sized boats, while overland access is easily made on a pedestrian walkway or with small vehicles.

indirizzo:
Isola dei Saloni, snc - 30015 Chioggia (VE)

Details

Permitted uses
Industrial/logistic
Total GIA (m²)
Year of construction
-
State of maintenance and repair
To be refurbished/valorized
Occupation status
Vacant

Property divided into 7 units within the Saloni island, along the Lombard Canal, a navigable canal that runs along Chioggia’s historic centre. The building can be accessed by water even from medium-sized boats, while overland access is easily from a pedestrian crossing and small vehicles. Built in 1510, the complex served as Magazzini del Sale (salt warehouses) whose production followed until the sixteenth century. The building preserves the original layout of the characteristic “Tesone” shape, the construction features and materials such as Istrian stone around the windows, the solid brick walls and the wooden trusses.

On the southern edge of the Venice lagoon lies the town of Chioggia, between the mouths of the Adige and Po rivers, characterised by a historic town centre in typical Venetian style and a large production-logistics area linked to fishing and fish farming.

The property in question is located on Saloni Island; a mostly commercial-tertiary area to the west of the town centre, connected with the Lombard canal to the port mouth. Due to its strategic position at the mouth of the Po valley in the northern Adriatic, the port of Chioggia has its own traffic of good consistency which highlights it in the Upper Adriatic coastal arc. The commercial market forces of Chioggia reach the markets of Lombardy, Emilia Romagna, Piedmont as well as Bavaria and part of Switzerland and Austria. Chioggia confirms its position both as a port able to integrate the functions of the nearby ports, and as an autonomous terminal for operators interested in investing in a modern airport. The town boasts connections to the transalpine national and international motorway network with central Europe, the Italian rail network with European axial reach and speed and to the airport network due to its proximity to Venice’s Marco Polo International Airport.

Property divided into 7 units within the Saloni island, the building can be accessed by water even by medium-sized boats, while overland access is easily made on a pedestrian walkway or with small vehicles.

Procedure

See contact details for expressions of interest or similar

Isola dei Saloni, snc - 30015 Chioggia (VE)

Contact

ICE - Italian Trade Agency

Request info

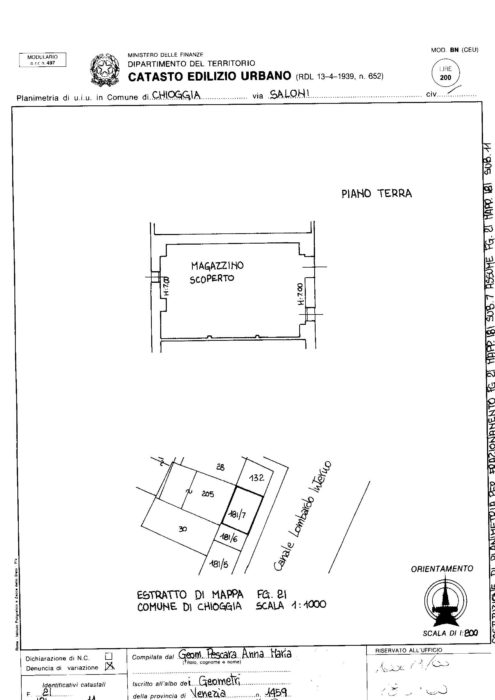
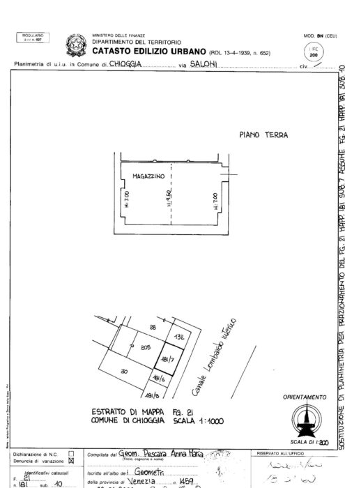
Floorplan

Chioggia – Former Magazzini del Sale Floorplan