Siete già iscritti? /

BRINDISI (BR) – Edificio cielo-terra in Piazza Vittorio Emanuele II n. 4

Compendio immobiliare ad uso direzionale situato nel centro storico di Brindisi. L'immobile, costituito da tre corpi di fabbrica realizzati in epoche diverse, ha ospitato la filiale della Banca d’Italia. Una porzione dell’Immobile, è dichiarata di interesse culturale e sottoposta alle relative disposizioni di tutela. L'edificio può essere valorizzato con funzioni commerciali, direzionali, residenziali e turistico-ricettive.

indirizzo:
Piazza Vittorio Emanuele II, 4 - 72100 Brindisi (BR)

Dettagli

Tipologie immobile
Edificio storico, Edificio cielo/terra
Funzioni ammesse
Direzionale, Residenziale
Superficie territoriale (m²)
327 m²
SLP Totale (m²)
GLA totale
Anno di costruzione
1930
Stato manutentivo
Da valorizzare
Stato occupazionale
Libero
Profilo di rischio

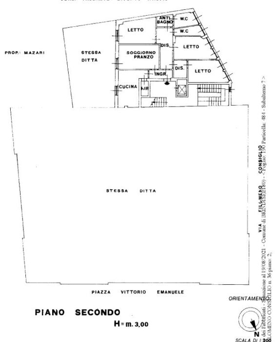
Lo schema planimetrico presenta, in corrispondenza dell’ingresso della Filiale su Piazza Vittorio Emanuele II, un ulteriore corpo aggiunto per sopperire alle irregolarità delle quote stradali su cui si affaccia l’immobile. L’edificio, articolato su quattro piani, oltre al piano seminterrato e copertura, ha subito nel 1959 degli interventi di ristrutturazione. Il piano seminterrato ospita gli archivi, il caveau e locali tecnici; al piano rialzato si trova un ampio spazio in cui si svolgevano le attività dell’Istituto; mentre al piano primo sono presenti la segreteria, la sala del consiglio, l’ufficio del Direttore, un deposito e la biblioteca; il secondo livello ospitava gli alloggi di servizio, mentre al terzo piano si trovava un’appartamento.

 

L’immobile si trova nel centro storico di Brindisi, capoluogo dell’omonima provincia, nel seno di levante. L’accesso all’ex Istituto di credito avviene da Piazza Vittorio Emanuele II. Nella zona si trovano alcuni palazzi storici e monumentali più importanti della Città, quali il Duomo, il Palazzo del Municipio. L’edificio si trova in prossimità della Via del Mare che consente di raggiungere rapidamente il terminal dei traghetti commerciali e la stazione marittima. La SS-16 (Adriatica), principale dorsale stradale adriatica che collega Padova con Otranto, costeggia la città e consente di muoversi rapidamente lungo la costa. Il casello “Taranto Nord” dell’autostrada A-14 (Bologna-Taranto) dista 96 km circa dall’immobile (60 minuti in auto). La stazione ferroviaria, che garantisce collegamenti con le città di Bari, Lecce e Taranto, dista 1 km dalla zona (15 minuti a piedi). L’aeroporto di Brindisi dista 5 km circa dall’immobile (10-15 minuti in auto).

 

seminterrato
1302 m²
rialzato
934 m²
primo
848 m²
secondo
230 m²
terzo
629 m²
copertura
661 m²
PRG
Regolamento Edilizio
Delibera di Consiglio n. 94/2024 Perimetrazione zone di ristrutturazione
Allegato delibera perimetrazione zone di ristrutturazione

Compendio immobiliare ad uso direzionale situato nel centro storico di Brindisi. L'immobile, costituito da tre corpi di fabbrica realizzati in epoche diverse, ha ospitato la filiale della Banca d’Italia. Una porzione dell’Immobile, è dichiarata di interesse culturale e sottoposta alle relative disposizioni di tutela. L'edificio può essere valorizzato con funzioni commerciali, direzionali, residenziali e turistico-ricettive.

Procedure

Vendita della piena proprietà con bando pubblico

Piazza Vittorio Emanuele II, 4 - 72100 Brindisi (BR)

Contatto

ICE - Italian Trade Agency

Richiedi informazioni

Pianta principale

BRINDISI (BR) – Edificio cielo-terra in Piazza Vittorio Emanuele II n. 4 Pianta principale