Siete già iscritti? /

Gambolò (PV) – edificio ex Magazzino

Compendio immobiliare, dismesso dagli anni '90, utilizzato per l'essiccazione e lo stoccaggio del risone, situato nel Comune di Gambolò, nella provincia di Pavia. I manufatti esistenti, in scadenti condizioni di manutenzione, insistono su un terreno di ampie dimensioni. Il complesso potrebbe essere trasformato in un edificio commerciale o capannone industriale-produttivo.

indirizzo:
Via Cascina Nuova Litta - 27025 Gambolò (PV)

Dettagli

Tipologie immobile
Altre tipologie
Funzioni ammesse
Commerciale, Logistico/produttivo
Superficie territoriale (m²)
8.067 m²
SLP Totale (m²)
Numero unità
L’immobile è censito all’Agenzia del territorio- NCEU - in unico mappale, ma è comunque agevolmente frazionabile in unità minori se ritenuto opportuno.
Contratti e vincoli

Nessuno

Anno di costruzione
Precedente al 1967
Stato manutentivo
Da valorizzare
Stato occupazionale
Libero
Profilo di rischio

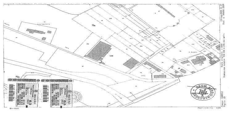
Il compendio immobiliare è costituito da un magazzino con tettoie laterali di 1.850 m² un tempo adibito a stoccaggio del risone, un capannone destinato ad essiccatoio per 200 m², oltre all’abitazione del custode, fabbricato ad un piano di 1; sono presenti inoltre 640 m² di portici ed un’area esterna di 5.182 m². Il magazzino è realizzato in cemento e laterizio con tetto a volta trattenuto in posizione da tiranti metallici, con 2 campate collegate tra loro, con struttura di copertura in eternit parzialmente crollato, così come il manufatto destinato ad essiccatoio. Lo stato degli immobili è in completo abbandono con la presenza di macchinari utilizzati per la lavorazione del riso. L’area in cui è situato l’immobile ricade urbanisticamente nell’ambito di uno specifico PII, ed in parte risulta interessata dalla fascia di rispetto cimiteriale.

L’immobile si trova al margine dell’abitato urbano del comune di Gambalò (10.260 abitanti), in provincia di Pavia (547.926 abitanti), in una zona a vocazione agricolo-industriale. Nelle vicinanze del complesso scorre il torrente Terdoppio e si trova il cimitero cittadino. L’immobile ha accesso da Via della Cascina Litta, all’incrocio con la SP-81 che attraversa il paese, mentre nelle vicinanze dell’immobile (6 km circa) si trova la SS-596 “dei Cairoli” che collega Pavia a Vercelli, che distano rispettivamente 35 e 40 km dalla zona. Il Parco Logistico Integrato di Mortara (600.000 m² di superficie fondiaria per 300.000 m² circa di magazzini logistici e direzionali), si trova a 10 km dalla zona. Il casello “Monferrato Nord” dell’Autostrada A-26 (dei Trafori) che collega Genova alla Svizzera si trova a 38 km, mentre il casello “Pavia Sud” dell’autostrada A-7 (Genova Milano) dista 20 km dalla cittadina.

Compendio immobiliare, dismesso dagli anni '90, utilizzato per l'essiccazione e lo stoccaggio del risone, situato nel Comune di Gambolò, nella provincia di Pavia. I manufatti esistenti, in scadenti condizioni di manutenzione, insistono su un terreno di ampie dimensioni. Il complesso potrebbe essere trasformato in un edificio commerciale o capannone industriale-produttivo.

Procedure

Vendita della piena proprietà con trattativa privata

Via Cascina Nuova Litta - 27025 Gambolò (PV)

Contatto

ICE - Italian Trade Agency

Richiedi informazioni

Pianta principale

Gambolò (PV) – edificio ex Magazzino Pianta principale