Siete già iscritti? /

Osimo (AN) – Edificio “Ex Corridoni”

Compendio immobiliare, noto come ex Corridoni, situato in zona centrale di Osimo, in provincia di Ancona. L'edificio, utilizzato come scuola e centro di formazione, è stato costruito negli anni '20, su progetto dell’architetto Costantino Costantini. Il fabbricato è stato dichiarato di interesse storico-artistico, ai sensi dell'articolo 10 comma 1 del D. Lgs.42/2004, per il suo pregio architettonico.

indirizzo:
Via Pompeiana, 27-29 - Osimo (AN)

Dettagli

Tipologie immobile
Edificio storico
Funzioni ammesse
Altre funzioni, Commerciale, Direzionale, Residenziale, Turistico ricettivo
Superficie territoriale (m²)
1.422 m²
SLP Totale (m²)
Anno di costruzione
1913/1914
Stato manutentivo
Da valorizzare
Stato occupazionale
Libero
Profilo di rischio

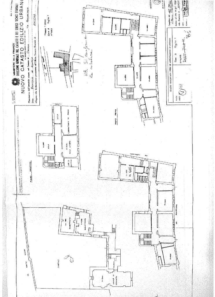
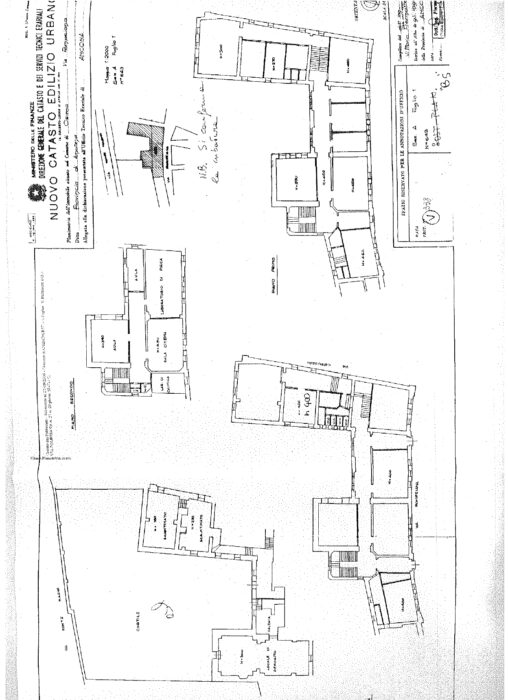
L’edificio, nella tipologia a blocco chiuso e pianta articolata, si sviluppa su tre piani fuori terra ed un livello seminterrato. Il prospetto esterno prospiciente via Pompeiana, è ricco di elementi decorativi neoclassici quali parasti, cornici, lesene e fregi. La facciata principale è simmetrica, con al centro una parasta sormontata da un timpano con lapide e scudo riportante le cinque torri, simbolo della città di Osimo. Il prospetto anteriore è in buono stato di conservazione, mentre quello che si affaccia lungo Via Cappuccini è in condizioni peggiori, ed è protetto da ponteggi, per scongiurare il pericolo di caduta di parti di intonaco ammalorate. I prospetti sul cortile interno sono invece privi di elementi decorativi. Gli ambienti interni si trovano in scadenti condizioni manutentive e sono privi di arredi. Sono presenti alcune puntellature a sostegno di strutture pericolanti e sono ben visibili infiltrazioni d’acqua provenienti dalla copertura.

Le parti del fabbricato, utilizzate fino a poco tempo fa dal Comune di Osimo, sono in condizioni leggermente migliori rispetto agli ambienti in disuso da anni. Dismesso da sede dell’ITC Corridoni dopo l’anno scolastico 1997/98, è stato utilizzato dal Comune di Osimo per ospitare la sede di alcuni corsi universitari e dell’archivio storico della biblioteca comunale, fino al febbraio 2011.

La struttura portante è realizzata in muratura, i solai sono in ferro, laterizio e legno. Le pavimentazioni sono in marmette di graniglia e cemento; le pareti sono intonacate e tinteggiate. Gli impianti idrico, elettrico e di riscaldamento sono presenti, tuttavia si presume non siano a norma e debbano essere sostituiti.

 

L’edificio è situato nel centro storico di Osimo (34.833 abitanti), comune che si estende su un territorio collinare in provincia di Ancona, nella Regione Marche. La cittadina gode di un clima di transizione tra mediterraneo e continentale, ed si trova a 16 km circa dalla costa adriatica (Numana – 20 minuti in auto). La zona in cui si trova l’immobile è ben collegata con la funicolare Tiramisù che collega la parte bassa della città (Via Cristoforo Colombo) con il centro cittadino (Via Cinque Torri). La Stazione ferroviaria di “Osimo-Castefidardo”, sulla tratta Ancona-Pescara, si trova a 6,5 km dall’immobile (10 minuti in auto). Il casello “Ancona Sud-Osimo” dell’autostrada A-14 (Adriatica), principale dorsale autostradale adriatica, dista 8 km dalla zona (10-15 minuti in auto).

Piano Seminterrato
231 m²
Piano Terra
455 m²
Piano Primo
487 m²
Piano Secondo
249 m²

Compendio immobiliare, noto come ex Corridoni, situato in zona centrale di Osimo, in provincia di Ancona. L'edificio, utilizzato come scuola e centro di formazione, è stato costruito negli anni '20, su progetto dell’architetto Costantino Costantini. Il fabbricato è stato dichiarato di interesse storico-artistico, ai sensi dell'articolo 10 comma 1 del D. Lgs.42/2004, per il suo pregio architettonico.

Procedure

Vendita della piena proprietà con bando pubblico

Via Pompeiana, 27-29 - Osimo (AN)

Contatto

ICE - Italian Trade Agency

Richiedi informazioni

Pianta principale

Osimo (AN) – Edificio “Ex Corridoni” Pianta principale